Rare sur le secteur ! Bergerie à rénover avec plus de 4,2 hectares de terrain – Monflanquin Monflanquin

PreviousNext

Description

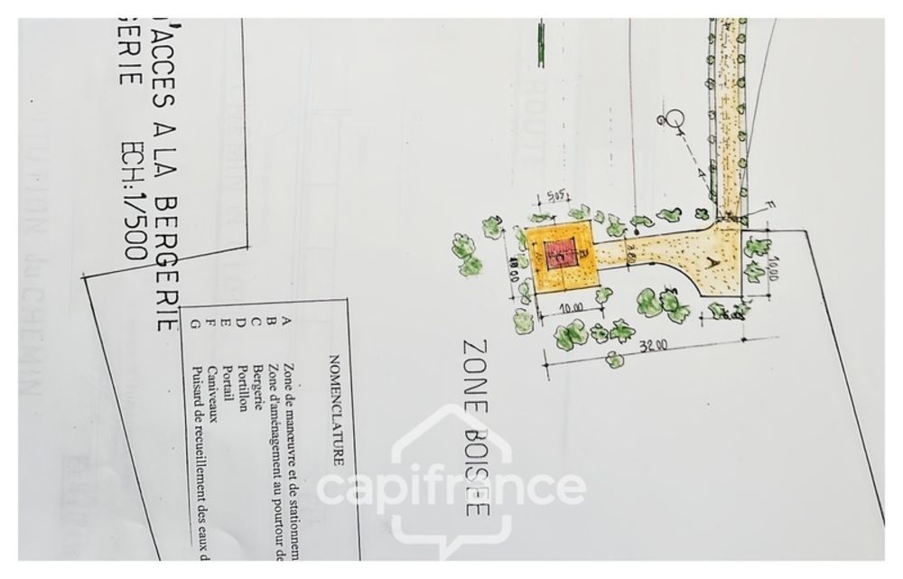
Vous rêvez d'un projet au cœur de la nature, dans un cadre exceptionnel ? Cette propriété est une véritable opportunité ! Sur la commune très recherchée de Monflanquin, découvrez cette bergerie à restaurer entièrement d'environ 30 m², posée au milieu d'une magnifique parcelle de 42 852 m². Un lieu rare, offrant une atmosphère paisible et un superbe potentiel d'aménagement. Points forts : Environnement d'exception : vaste terrain en partie boisé, parfaitement entretenu, avec diverses essences. Potentiel d'extension : possibilité d'agrandir la bergerie de 30 % après obtention du permis de construire. Terrain viabilisé : accès existant, raccordement à l'électricité possible. Cadre idéal pour un projet de résidence secondaire, gîte nature, retraite paisible ou investissement patrimonial. Laissez libre cours à vos envies et créez un lieu unique dans un décor naturel préservé, à seulement quelques minutes du village et de ses commodités. Un bien coup de cœur à visiter rapidement ! Les honoraires sont à la charge du vendeur. Les informations sur les risques auxquels ce bien est exposé sont disponibles sur le site Géorisques : www. georisques. gouv. fr. Réseau Immobilier CAPIFRANCE - Votre agent commercial (RSAC N°987 655 867 - Greffe de AGEN) Sebastien MONSET Entrepreneur Individuel - Réf.932938 Nom du négociateur : MONSET Sebastien Honoraires à la charge du Vendeur Statut du négociateur : agent commercial indépendant

Informations clés

  • Prix 110 000 €
  • Référence ParuVendu 340937055828
  • Nombre de pièces 1 pièce
  • Surface 30 m²
  • Date DPE 01/01/1970
  • Classe énergie  NC
  • Indice d’émissions de gaz à effet de serre  NC